ИАРА хванаха бракониер при проверка по река Дунав

1
2155
ИАРА
ИАРА. Снимка: ИАРА

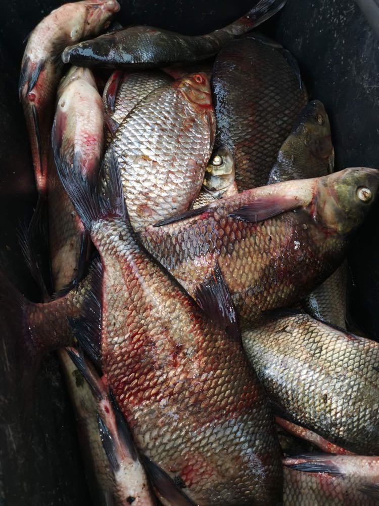
Бракониер е бил заловен при проверка по река Дунав от служители на Изпълнителна агенция по рибарство и аквакултури /ИАРА/, съобщиха от ведомството.

Рутинната проверка по вода е била извършена в района от Белене до Свищов. Инспекторите от Агенцията от сектори „РК Габрово“ и „РК Свищов“ установили лице, извършващо стопански риболов. Бракониерът не притежавал необходимото разрешително. Мрежите и лодката на нарушителя са били иззети. На лицето е било съставен АУАН /Акт за установяване на админситративно нарушения/ за нарушаване разпоредбите на ЗРА /Закон за рибарството и аквакултурите/.

Служителите от сектор „РК-Добрич“ от своя страна са извършили планирана проверка на езеро „Шабла“ с патрулна лодка на ИАРА. По време на проверката са били установени и извадени от работно положение 300 метра хрилни мрежи. Уловената в тях риба 26 кг от вида платика е била освободена и върната незабавно във водата.

Призоваваме всеки, който стане свидетел на подобно нарушение, да сигнализира на телефон 112. Същевременно акциите на ИАРА срещу бракониерите продължават.

Коментари

ВАШИЯТ КОМЕНТАР

Моля, напишете вашия коментар!
Моля, напишете името си тук